往完町売地(更地渡し)

【外観】の画像

【外観】 -

【外観】の画像

【外観】 -

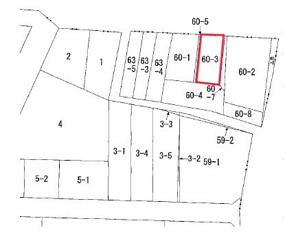
【土地図】の画像

【土地図】 -

【周辺】の画像

【周辺】 -

【周辺】の画像

【周辺】 -

【周辺】の画像

【周辺】 -

【周辺】の画像

【周辺】 -

【周辺】の画像

【周辺】 -

【外観】の画像 外観
【外観】の画像 外観
【土地図】の画像 土地図
【周辺】の画像 周辺
【周辺】の画像 周辺
【周辺】の画像 周辺
【周辺】の画像 周辺
【周辺】の画像 周辺

売地

価格
1,250万円
所在地
愛知県豊橋市往完町字往還東60-3 MAP
交通
東海道本線「豊橋」駅徒歩15分
土地面積(坪数)
公簿 : 95.47㎡ (28.87坪)
建ぺい率
60%
容積率
200%

まずはご相談ください!

0566-72-0303

営業時間
9:30~18:00
定休日
水曜日

物件概要

物件番号:102259134 /  情報更新日:2026年04月06日 /  更新予定日:2026年04月20日 /  取引条件の有効期限:2026年04月20日 情報の見方
価格(坪単価) 1,250万円 (43.3万円) 所在地 愛知県豊橋市往完町字往還東60-3 MAP
交通
    東海道本線「豊橋」駅徒歩15分
    豊橋鉄道東田本線「駅前大通」駅徒歩21分
土地面積(坪数) 公簿 : 95.47㎡(28.87坪)
私道負担面積 /
セットバック
- / 無 現況 古家有
土地権利 所有権 建築条件 -
地目 / 地勢 宅地 / 平坦 接道状況 一方(北 14.0m 間口 6.8m)
建ぺい率 / 容積率 60% / 200% 最適用途 住宅用地
用途地域 第一種住居 都市計画 市街化区域
土地の敷金 / 保証金 - 借地料 / 借地期間 - / -
傾斜地部分面積 - 路地状敷地 -
取引態様 仲介 国土法届出要否 不要
引渡時期 相談 引渡条件 -
法令上の制限 宅地造成及び特定盛土等規制法/法22条指定区域 販売区画数 / 総区画数 - / -
設備条件
  • 都市ガス
  • 公営水道
  • 公共下水
  • 電気有

地図

※地図上に表示される物件の位置は付近住所に所在することを表すものであり、実際の物件所在地とは異なる場合がございます。

まずはご相談ください!

営業時間
9:30~18:00
定休日
水曜日

取り扱い店舗(KEIAI安城へきかい不動産センター)

KEIAI安城へきかい不動産センターの画像

所在地
愛知県安城市緑町1丁目38-14 THE TERRACE ANJO C-1
電話番号
0566-72-0303
営業時間
9:30~18:00
定休日
水曜日

まずはご相談ください!

営業時間
9:30~18:00
定休日
水曜日

売却査定

お問い合わせ